
Bike lanes on the block of Division Street between 9th and 10th Streets will get some much-needed protection this fall. Earlier this week the SFMTA Board of Directors approved a design that will put people on bikes between the curb and parked cars. The massive 9th and Division intersection will also get safety improvements like large painted curb extensions.
The upgrades would complement other bike and pedestrian safety improvements going in along Division, which becomes 13th Street as it runs beneath the Central Freeway.
SF's first parking-protected bike lane on a city street was expected to be constructed this spring on westbound 13th, from Bryant to Folsom Street. SFMTA officials haven't explained why that project has been delayed, though some of the other striping improvements included in the package have been implemented.
Altogether, the upgrades along Division and 13th, from the traffic circle at Eighth Street to Folsom, will create a continuous curbside westbound bike lane that could set a precedent for how low-cost redesigns can make dangerous SoMa streets safer.
"It's turning out to be a really good cycling route," Livable City Executive Director Tom Radulovich told the SFMTA board on Tuesday.

The SF Bicycle Coalition is "heartened" by the approval of the improvements, said community organizer Chema Hernández Gil.
"The 13th and Division Street corridor is one of the most dangerous corridors for people biking in our city, having claimed three lives in as many years," he said. "Despite the risks, thousands of people biking between the Mission and South of Market use it every week."
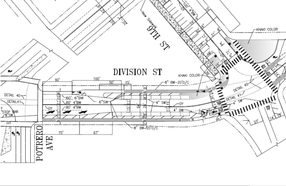
As part of the initial improvements approved in January, the traffic circle at 9th, Division, and Townsend Streets received painted bulb-outs and safety enhancements in April. The traffic lanes were narrowed, the crosswalks were upgraded with "continental" striping, and green-backed sharrows were added for guidance.
Radulovich said he hopes the SFMTA will extend bike lane upgrades in the area, especially down Townsend to the Caltrain station at Fourth Street "and beyond."
"As more and more residents and businesses are moving" to the historically industrial south SoMa area, which abuts the quickly-developing Mission Bay, Radulovich said the improvements will make the neighborhood "more amenable as it grows and changes."
Around the "huge, very messy intersection" of intersection of 9th, Division, and San Bruno Avenue, "the pedestrian infrastructure is terrible," said Radulovich. Ten bike-car crashes were reported at the "extremely wide" intersection between 2007 and 2012, according to an SFMTA report [PDF].

It was only after a push from Livable City that the SFMTA included improvements like the block of missing sidewalk on the west side of 9th, Radulovich said. The block currently has angled car parking where the sidewalk will go, as well as two one-way traffic lanes, which are incredibly wide at 23 feet and 21 feet. With the redesign, they would be narrowed to a more standard 11 feet and 10 feet, respectively, and the street would be converted to two-way traffic flow. The angled parking spaces will become perpendicular.
A large painted bulb-out will be added on the northeast corner of the intersection, which Radulovich said will help shorten crossing distances and improve visibility. There will also be all-way stop signs.
On the block of Division east of 9th, up to Vermont Street, car parking will be removed on the north side to shift the westbound bike lane to the curb and add a painted buffer zone. The eastbound bike lane will also get a buffer, but continue to run between parked cars and moving cars.
The parking-protected bike lanes on Division and 13th -- curbside lanes with a buffer zone between parked cars -- will be the city's first other than the ones on John F. Kennedy Drive in Golden Gate Park. New York City has implemented miles of them, resulting in consistent reductions in injuries.
The upgrades on Division and 9th are expected to be installed after those street segments are re-paved in late September. The westbound parking-protected bike lane on 13th is expected to come sooner. We'll provide an update as soon as there's news.






