Eyes on the Street: Construction of Fruitvale Ave’s Protected Bike Lane
Note: GJEL Accident Attorneys regularly sponsors coverage on Streetsblog San Francisco and Streetsblog California. Unless noted in the story, GJEL Accident Attorneys is not consulted for the content or editorial direction of the sponsored content.
Long-delayed construction of a raised, protected bike lane is finally underway on a stretch of Fruitvale Avenue that connects BART with the neighborhood of Jingletown. From a city release:
Fruitvale Avenue between E12th Street and Alameda Ave is critical gap in the City of Oakland’s bikeway network. This stretch of roadway connects commuters and residents of Jingletown and the City of Alameda with the services, amenities, and high-quality public transit available around the Fruitvale BART Station. Home to numerous railroad crossings, the I-880 underpass, and wide lanes that encourage high vehicle speeds, this corridor was the focus of a community planning and design effort from 2014 to 2016 where the City held multiple public meetings in the Fruitvale neighborhood.

While it’s great that it’s happening, the “Fruitvale Alive” project has truly lagged. Even the city’s information page shows it was supposed to start construction in the summer of 2022. In fact, studies and reports started on this project way back in 2005, as per this Tweet from Bike East Bay’s Robert Prinz.
Streetsblog has reached out to Oakland DOT to try and get a fix on when the project will be completed and will update this post. For now “I’ve heard ‘2024,’” wrote Prinz in an email to Streetsblog. “But nothing more specific and no more recent renderings.”
Big pluses of the project: the protected lane of course. And the new connection, as seen below at the bottom of the map in green, to the Bay Trail. Currently, the Bay Trail is unreachable from Fruitvale Avenue and the estuary without significant back tracking. Even if someone wanted to overland it, there are large fences thanks to the disused Union Pacific tracks that block access.

“East Bay Parks is working on a separate Bay Trail connection project that will be built during the tail end of the Fruitvale project,” added Prinz. “A protected jughandle bike crossing will be added between these two projects basically serving the same purpose as a protected intersection.”
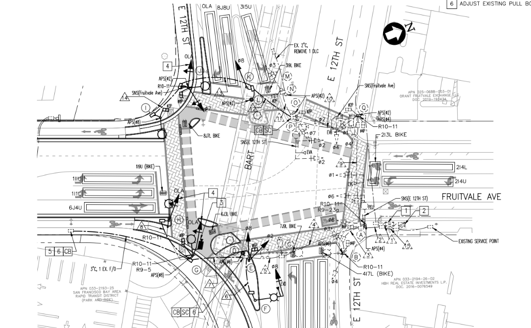
There’s also a protected intersection planned for the intersection with East 12th. Unfortunately, none of the other intersections will be protected–and even at East 12th, going by the blueprints, only two of the four corners will get a protective island.

Two of Fruitvale’s dangerous slip turns will be removed, but others will remain, apparently because of objections from AC Transit. In addition, no provisions have been made as yet to provide protection across the Fruitvale Avenue bridge–cyclists will either be forced to dismount and use the sidewalk, as they’re obligated to do now, or will have to contend with car traffic and no bike lane at all.

“Alameda is also working on their own separate project to continue the bikeway across the Fruitvale bridge and continue down Tilden Way to Clement and Broadway,” wrote Prinz. More on that in a future post.
Also, as is too often the case, traffic control seems to have given near-zero consideration to the needs of cyclists and pedestrians during construction, as Streetsblog experienced when taking photos and surveying the area. Construction barriers that could have been used to protect cyclists and construction workers are instead used only to protect construction workers.

And not only couldn’t the crew be bothered to create a detour for pedestrians, but they didn’t even put up the sign they were furnished with about the closed sidewalk:

Of course, routes for cars are maintained, since drivers are the only people who count in the Bay Area (grrrrr).

Grousing aside, Fruitvale Avenue was badly in need of work and it’s great that this long overdue project is finally underway. In a year or two, things should be much better for people walking and biking between Fruitvale BART and Jingletown.
Streetsblog has migrated to a new comment system. New commenters can register directly in the comments section of any article. Returning commenters: your previous comments and display name have been preserved, but you'll need to reclaim your account by clicking "Forgot your password?" on the sign-in form, entering your email, and following the verification link to set a new password — this is required because passwords could not be carried over during the migration. For questions, contact tips@streetsblog.org.