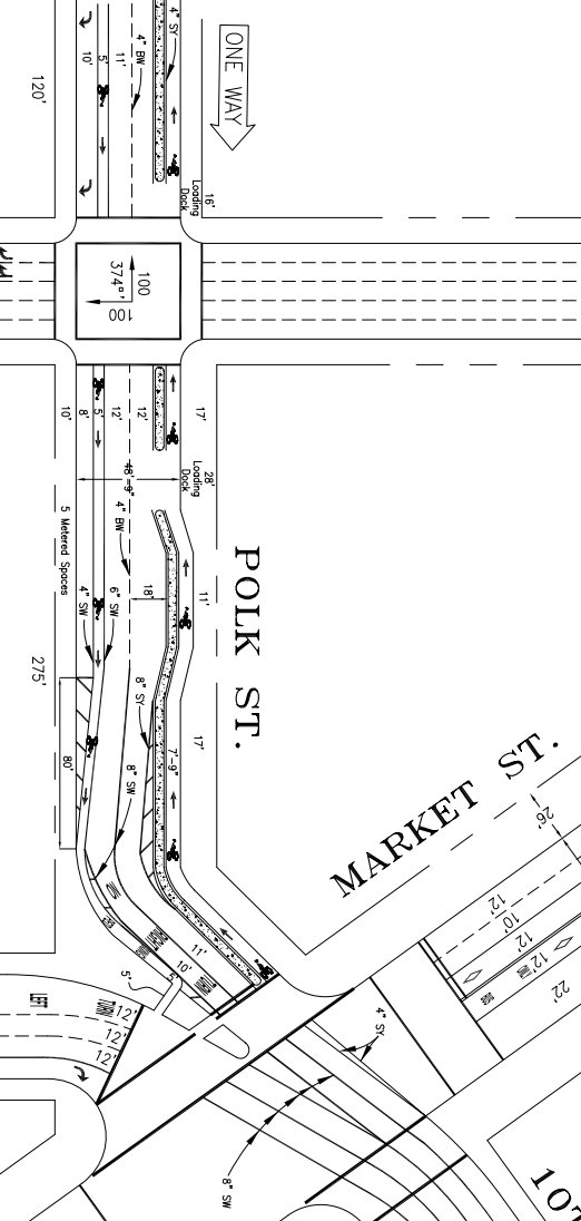
A long-awaited bicycle connection linking Market Street to northbound Polk Street is on the horizon. The two southernmost blocks of Polk, which currently only allow southbound traffic, could get a protected contra-flow bike lane by this time next year.
The project, which would add a northbound bike lane separated by a concrete median [PDF], was part of the 2009 SF Bike Plan but left unapproved by the SF Municipal Transportation Agency Board of Directors -- one of 15 such projects. The space for the contra-flow lane would come from a car parking lane and some existing buffer space, and it would extend as a painted bike lane past City Hall to connect to the existing bike lane which begins at McAllister Street.
"This project has been stalled for far too many years, leaving an intimidating gap along a critical north-south bike route," said Leah Shahum, executive director of the SF Bicycle Coalition. "Even as an experienced bicyclist, I feel uncomfortable riding on the streets parallel to this section of Polk Street, but that's the only legal alternative. The city needs to move with more urgency to build the bikeway on this southern end of Polk Street and stop leaving people biking in the lurch here."
The delay was apparently due to unresolved technical design negotiations with managers of the adjacent Bill Graham Auditorium and the Archstone Fox Plaza apartment building, each of which has a loading dock entrance which the bike lane would cross. However, an SFMTA report issued in June [PDF] said agency staff planned to present proposed designs to those stakeholders as well as the SF Department of Public Health, located at Polk and Grove Streets (Streetsblog has put in a request to SFMTA for an update on those negotiations). The project's environmental impact report was approved as part of the Bike Plan, but the final design would still need to be approved at a public hearing and go through the SFMTA Board.
SFMTA planners are also looking at including a left-turn bike box at the intersection of Market, Polk, and Tenth Streets, which would provide a waiting area for bicyclists on eastbound Market to make a two-step turn onto northbound Polk. However, according to this month's SFMTA report [PDF] to the SF Bicycle Advisory Committee, that addition would be complicated by the ongoing construction of a tower at 1401 Market, which will occupy a traffic lane until January 2014. "[SFMTA] staff is looking at options at the intersection to accommodate the traffic and bike box," the report says.
Construction on the contra-flow lane is roughly scheduled for the first fiscal quarter of 2013, which runs from July to September, according to the 2011 Prop B Street Improvement Bond funding plan [PDF] approved last week by the multi-agency SF Capital Planning Committee. Of the estimated $959,369 needed for the project, $240,000 would come from the Prop B bond. The majority, $584,000, would come from a Safe Routes to Transit grant also approved last week by the SFMTA Board. "The remaining $375,369 will be secured from SFCTA Prop. K funds ($88,039), San Francisco Red Light Photo Enforcement Program ($10,000) and from Metropolitan Transportation Commission Regional Bike and Pedestrian Program funds ($37,630)," according to an SFMTA grant document [PDF].
The SFMTA is also beginning an outreach process for pedestrian and bicycle improvements on the rest of Polk between McAllister and Union Streets, according to its July bike project report. It's too early to tell what improvements would be included in this safety upgrade, known as the Polk Complete Street project, which would be coordinated with a street re-paving. But protected bike lanes were recommended in last year's Think Bike workshops, when SFMTA planners joined Dutch bicycle planners to develop conceptual redesigns for key bike corridors, including Polk between Broadway and Union.
The SFBC has been pushing for a protected bike lane along all of Polk in its Connecting the City campaign, which calls for a safe, continuous "North-South Bikeway" running from Aquatic Park to SF State University in the southwest neighborhoods via streets like Valencia Street, San Jose, and Holloway Avenues.
Although advocates had hoped a protected bike lane might come to Polk in time for America's Cup, construction on the Complete Street project is scheduled to take place from July 2014 to July 2015, according to the list of Prop B bond streetscape projects. $5,356,000 of the bond money has been set aside for the project.









